Bloqueo estadounidense ante un huracán Categoría 5
Mientras Cuba se prepara para enfrentar la devastadora embestida de un huracán categoría 5, un enemigo implacable, el bloqueo de Estados Unidos, ejerce su asfixia sin tregua.
Parques solares y eólicos se protegen en Las Tunas
Salvar los parques solares fotovoltaicos de los posibles impactos del poderoso y abarcador huracán Melissa ha sido una de las prioridades de la provincia de Las Tunas en las últimas jornadas.
Refuerzan las FAR medidas de protección ante huracán Melissa
El General de Cuerpo de Ejército Roberto Legrá Sotolongo, viceministro primero y jefe del Estado Mayor General de las Fuerzas Armadas Revolucionarias (FAR), sostuvo hoy un encuentro en Granma con la presidenta del Consejo de Defensa Provincial y la jefatura de la Región Militar, para puntualizar acciones de protección ante el huracán Melissa, precisó el perfil del Facebook del Ejército Oriental.
Reportan deterioro de las condiciones del tiempo en toda Granma
Con cielos nublados y llovizna fina o más fuerte a intervalos, usuarios en redes sociales reportan desde varios municipios el progresivo deterioro de las condiciones del tiempo en la provincia de Granma.
Llaman a preservar la vida ante huracán Melissa
La Defensa Civil de Cuba y el Centro de Gestión para la Reducción del Riesgo de Desastres en Guantánamo llamaron hoy a la población a cumplir con disciplina las medidas de la fase de alarma ciclónica, ante la cercanía del huracán Melissa y la aparente calma que puede generar el paso del ojo del fenómeno.
Más de 168 mil evacuados en Santiago de Cuba
En Santiago de Cuba permanecen evacuados hoy 168 mil 900 personas y se mantienen activos 101 centros para ese fin, además de viviendas solidarias que acogen a familias desplazadas, informó en su perfil de Facebook Beatriz Johnson, primera secretaria del Partido Comunista de Cuba en esta provincia.
Aseguran vitalidad de servicios de salud ante paso de Melissa
La Dirección General de Salud en Holguín garantiza la vitalidad de los servicios priorizados y la atención a grupos vulnerables ante el azote inminente del huracán Melissa, que debe afectar al oriente cubano en la noche de hoy o madrugada de este miércoles.
Destacan autoridades preparación ante el paso de huracán Melissa
Autoridades de Cuba insisten hoy en reforzar las acciones preventivas ante el paso del huracán Melissa, que se prevé toque tierra cubana en la madrugada del miércoles.
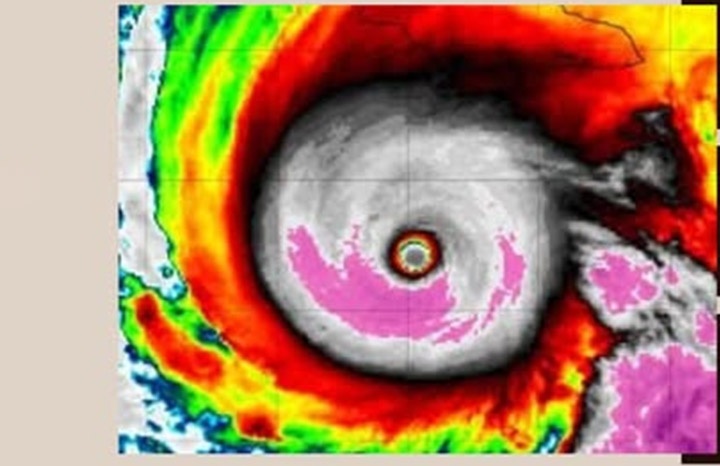
Huracán Melissa penetrando por el sur de Jamaica
Al mediodía de hoy el centro del huracán Melissa se observó penetrando por la costa sur de Jamaica, informó el Instituto cubano de Meteorología.
La paradoja de Washington respecto a Cuba
Dicen en Washington que el bloqueo económico, financiero y comercial resulta un invento de Cuba para justificar su “malgobierno”, pero han sacado sus cañoneras políticas, mediáticas, diplomáticas e imperiales para que el mundo no rechace este 29 de octubre esa política genocida.
