La Habana, 26 oct (ACN) Integrantes de la misión estatal de Cuba en Jamaica se mantienen preparados y alertas ante el inminente paso del huracán Melissa por ese territorio, informó la Embajada de la isla en Kingston a través de sus redes sociales.
Los cooperantes de Salud y Educación permanecen en sitios seguros, con condiciones creadas para enfrentar el fenómeno meteorológico, de acuerdo con la información oficial.
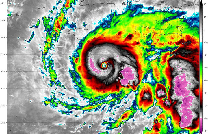
El huracán Melissa alcanzó categoría cuatro en la escala Saffir-Simpson, con vientos máximos sostenidos de 220 kilómetros por hora y rachas superiores, según el Aviso de Ciclón Tropical No. 12, emitido por el Centro de Pronósticos del Instituto de Meteorología.
En horas de la mañana de este domingo, el centro del organismo se localizó en los 16,3 grados de latitud norte y 76,4 grados de longitud oeste, a 180 kilómetros al sursudeste de Kingston y a 415 kilómetros al sur de Santiago de Cuba.
El sistema mantuvo un rumbo próximo al oeste con una velocidad de traslación de siete kilómetros por hora y los pronósticos indican que continuará desplazándose lentamente en las cercanías de Jamaica, para girar gradualmente al norte y nordeste en los próximos días.
El parte señaló que el martes el huracán se aproximará al territorio nacional cubano por los mares al sur de la región oriental, donde las bandas externas incrementarán los nublados y las precipitaciones.
